2186471
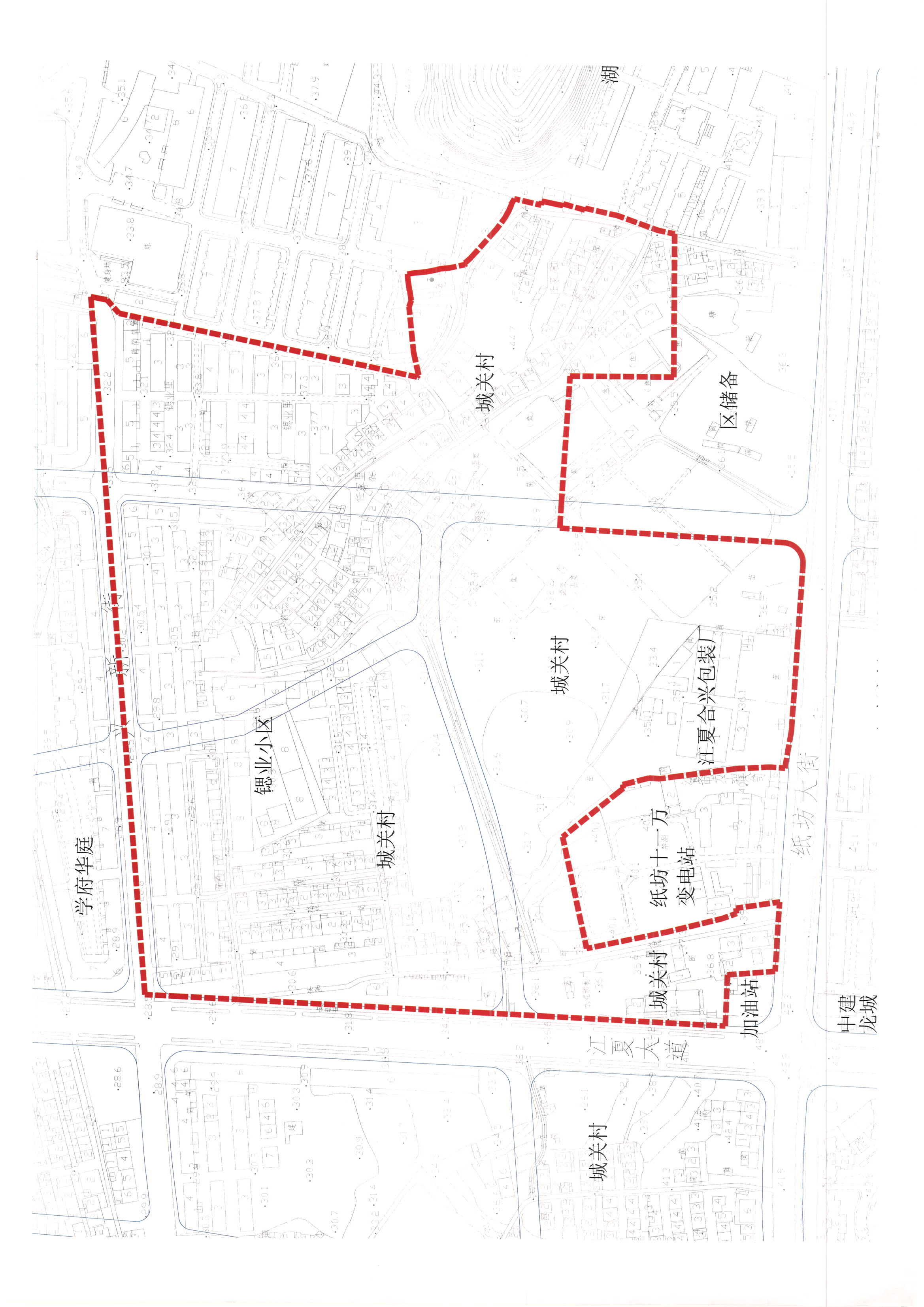
任家湾片区城市更新项目基础设施落后认定结果征求意见公告
20
江夏区纸坊街道办事处
2023-04-14
71098
国有土地上房屋征收与补偿
中央人民政府
|
湖北省人民政府
|
武汉市人民政府
微博
无障碍
长者专区
网站首页
政府信息公开
公众服务
互动交流
魅力江夏
亲清江夏
网站首页
政府信息公开
公众服务
互动交流
魅力江夏
亲清江夏
首页
»
政府信息公开
»
信息公开目录
»
公共资源配置
»
国有土地上房屋征收与补偿
任家湾片区城市更新项目基础设施落后认定结果征求意见公告
发布日期:2023-04-14 17:38 文章来源:江夏区纸坊街道办事处
相关解读
关联政策
关联内容
相关文章
【 下载 】
【 打印 】
分享到微信朋友圈
×
打开微信,点击底部的“发现”,
使用“扫一扫”即可将网页分享至朋友圈。